Scientists created virtual replicas of patients’ diseased hearts so precise that blocking a dangerous irregular heartbeat in these digital “twins” showed doctors how to better treat the real thing.
One of the first clinical trials of these custom models suggests it might improve care for ventricular tachycardia, a notoriously difficult-to-treat arrhythmia that is a major cause of sudden cardiac arrest, blamed for about 300,000 U.S. deaths a year.
The study, by researchers at Johns Hopkins University, was a small first step. The FDA allowed the digital twin technology to guide treatment for just 10 patients, and much larger studies will be needed.
But the results reported Wednesday in the New England Journal of Medicine come as doctors increasingly are exploring how a technology long used in aerospace and other industries might be harnessed for better health, too.
Jeffrey Goldberger, MD, a heart specialist at the University of Miami who wasn’t involved with the study, experimented with more rudimentary iterations 15 years ago and praised the new findings. “This is what we envisioned,” he said.
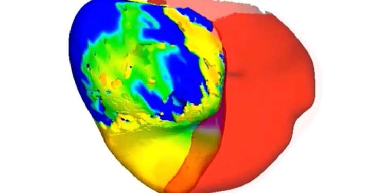
Doctors have long used 3D models, both physical and computer-generated ones, to simulate disease and practice techniques. But Hopkins biomedical engineer Natalia Trayanova, PhD, said true digital twins predict how a real organ can react to different treatments. Her lab is pioneering colorful interactive models developed with an advanced MRI scan and other data from each patient.
“We treat the twin before we treat the patient,” Trayanova said. “Did it work? And if it did, are there new things that arise” that will require more or different care?
The heart’s electrical system powers our heartbeat. Ventricular tachycardia is a super-fast heartbeat triggered when an electrical wave short-circuits in the organ’s bottom chambers, the ventricles, and prevents them from pumping blood out to the body.
“You see this heart that is basically quivering,” Trayanova said.
Medication can help but the main treatment is ablation, when doctors thread catheters to the heart to burn misfiring tissue. But it’s a bit trial-and-error, as patients spend hours under anesthesia while doctors determine where to aim. Repeat ablations are common, and many patients have an implanted defibrillator as backup.
Enter Trayanova’s digital twins of patients’ ventricles. Colors swirl on a computer screen — blue, green, yellow, and orange — showing how the heart’s electrical wave moves across the chamber’s healthy areas before getting stuck on damaged tissue. It’s trapped in a circular motion that she compares to the swirl of a hurricane.
“It allows me to recreate the functioning of the patient’s organ and then predict what is the best way to ablate,” she said.
The technology locates a dysfunctional region where the electrical wave repeatedly hits. Virtually ablating it will show if that solves the problem or if another arrhythmia forms that also will need zapping. “Then we poke it again,” she explained.
Trayanova’s team created customized ablation targets for each of the 10 study participants. Cardiologists transferred them to a mapping system they use as a guide and aimed just at those targets instead of hunting their own.
More than a year later, eight patients had no arrhythmias while two experienced only a single brief episode while they were healing — better than the treatment’s typical 60% success rate, said Jonathan Chrispin, MD, a Hopkins cardiologist and the study’s lead author. All but two also stopped their anti-arrhythmia medicine.
More importantly, cardiologists may burn away less tissue by targeting “specifically the areas that we think are critically important,” Chrispin said. “We could potentially make these procedures shorter, safer, more effective.”
The Hopkins team hopes to study the digital twin approach in a larger study with other hospitals, and has begun a trial using it to treat a more common type of irregular heartbeat called atrial fibrillation. Other researchers are studying digital twins for cancer care.
Source link : https://www.medpagetoday.com/cardiology/arrhythmias/120613
Author :
Publish date : 2026-04-04 14:00:00
Copyright for syndicated content belongs to the linked Source.









